ca. 7.900 m² vollerschlossenes Wohn- und Gewerbeanwesen mit Expansionsmöglichkeit bei Erding

Eckdaten

 Zimmer
 Wohnfl.
 Grundst.
Kaufpreis
Zimmer
 Wohnfl.
 Grundst.

Kaufpreis

Basisdaten

Objektnummer
Immopark ID
IP-311461
Objekt ID
1065-4540-NVO
Adresse
Ort
85447 Fraunberg / Grucking
Fakten und Zahlen
Grundstückstyp
Gewerbe
Vermarktungsart
Kauf
Nutzungsart
Gewerbliche Nutzung
Verkaufsstatus
offen
Baujahr
1909
Kerndaten
Grundstücksfläche
7.900 m2
Bauweise / Substanz
Objektzustand
teil- vollrenoviert
Wohneinheiten
2.0

Preisdaten

Preis
Kaufpreis
3.299.000 €
Kaufpreis pro Quadratmeter
18.851,43 €
Courtage
Käufercourtage
3,57% inkl. ges. Mwst. aus dem beurkundeten Kaufpreis
inkl. MwSt.

Merkmale

Stellplätze
Anzahl Stellplätze (gesamt)
23.0
Freiplatz
Anzahl
20.0
Garage
Anzahl
3.0

Umgebung

Es wurden keine Daten angegeben.

Objektbeschreibung

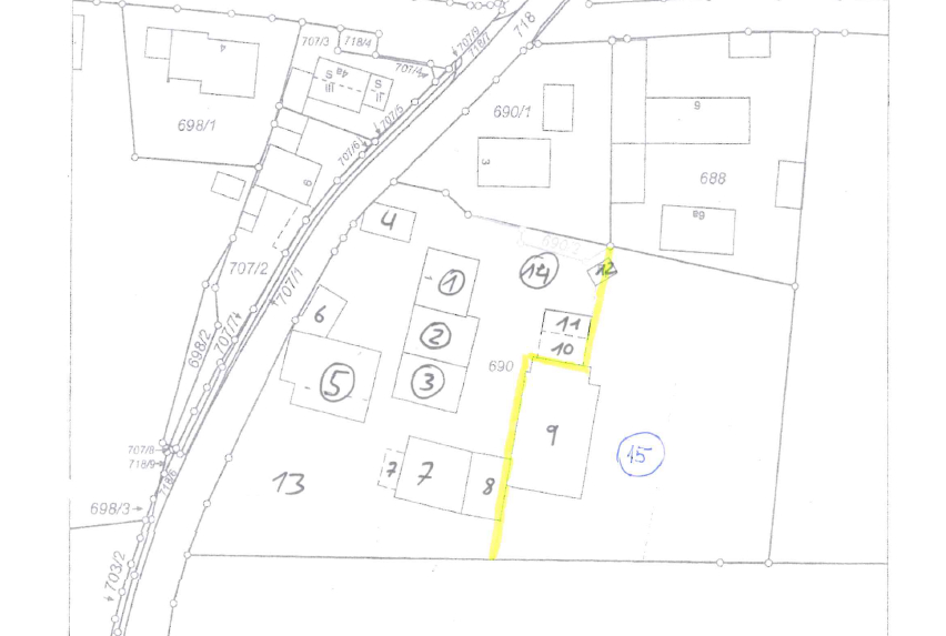
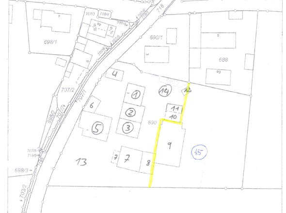
Zum Verkauf steht ein Gesamtanwesen mit ca. 7.900 m² Grundstücksfläche, teilbar in Wohn- und Gewerbeanwesen als auch in ein reines Gewerbeanwesen, genauer einem Wohnhaus, diversen gewerblichen Lagerhallen, Werkstatt, Büros sowie großzügiger Freifläche für weitere Bebauung und Aufstockung des Bestandes (wir liefern dazu eine Bestätigung der Gemeinde).

Das Objekt bietet eine gemischte Nutzung aus Wohnen und Gewerbe, stabile Mieteinnahmen mit PV-Anlagen sowie Entwicklungspotenzial durch zusätzliche Bebauungsmöglichkeiten. Die bestehenden Gebäude wurden größtenteils umfassend renoviert oder neu errichtet und verfügen über eine vollständige Erschließung.

Ideal für Eigennutzer oder Kapitalanleger bietet das Anwesen flexible Nutzungsmöglichkeiten und eine attraktive Renditechance. Detaillierte Angaben erhalten Sie mit dem Exposé.

Aufstellung Anwesen (einen nummerierten Plan erhalten Sie mit dem Exposé)

1 – Wohnhaus
Baujahr 1909, ca. 175 m² Wohnfläche (aufteilbar auf mehrere Einheiten), ausbaufähig. für bis zu ca. 6 Wohnungen
Ölzentralheizung, Kachelofen, Einbauküche.

2 – Büro und Lagerraum
Baujahr 2000, ca. 92 m² Nutzfläche (Büro + Abstellraum).
Fußbodenheizung, separates Bad, OG für Wohnung ausbaufähig (Leitungen vorhanden).
Eigener Eingang, Lagerraum gedämmt und gefliest.

3 – Anbau-Wohnhaus (ehemaliger Stall)
Baujahr 1960, 168 m² EG, OG ausbaufähig.
EG gepflastert, massive Betondecke zum OG.

4 – PKW-Garage (dreifach)
Baujahr 1960, 52 m² EG, OG als Lagerraum nutzbar.

5 – Werkstatt
Baujahr ca. 1920, EG 254 m² + OG 191 m² Nutzfläche.

6 – gewerbliches Lagergebäude / Halle
Baujahr 2008, 96 m² Nutzfläche

7 – gewerbliche Lagerhalle 1
Baujahr 2010, 213 m² Nutzfläche, vermietet.

8 – gewerbliche Lagerhalle 2
Baujahr 2006, 106 m² Nutzfläche, vermietet.

9 – gewerbliche Lagerhalle 3
Baujahr 2006, 384 m² Nutzfläche, vermietet.

10 – Lagerhallenanbau
Baujahr 2006, 57 m² Nutzfläche, Eigennutzung.
Stromanschluss, Betonboden.

11 – überdachter Holzlagerplatz
Baujahr 2012, 40 m² Nutzfläche.

12 – Geräteschuppen
Baujahr 2012, 12 m² Nutzfläche.

13 – noch zu bebauende Freifläche
Möglichkeit zur Errichtung einer großen Gewerbehalle und eines weiteren Wohnhauses.

14 – Gemüsegarten inkl. Gartenhaus

Ausstattung

ca. 7912 qm Grundstück
weiterer Ausbau Bestandshaus möglich
weitere Bebauung mit Wohnhaus sowie Gewerbehalle möglich
Mieterhöhungen möglich
TOP gepflegter Zustand
PV Anlagen mit Rendite - weiteres Potential
Verfügbarkeit sofort

Lage

Fraunberg liegt im Nordosten des Landkreises Erding am Übergang vom Erdinger Moos ins hügelige Tertiärland. Die Gemeinde umfasst 42 Ortsteile, darunter Fraunberg, Grucking, Reichenkirchen, Riding, Maria Thalheim und Tittenkofen.

Der Ort ist geprägt von einer reizvollen Kulturlandschaft entlang der Strogen und einer starken landwirtschaftlichen Struktur, ergänzt durch innovative Zukunftsbetriebe in Dörfern, Weilern und Einzelhöfen. Ziel der Gemeindeentwicklung ist die Bewahrung dieser Landschaft und die Förderung dezentralen Lebens und Arbeitens.

Grucking, ein grüner Ortsteil, liegt ca. 5 km von Fraunberg entfernt. Die Region bietet ein naturnahes Umfeld bei gleichzeitig sehr guter Verkehrsanbindung: Der Flughafen München ist in ca. 15 Minuten erreichbar, die A92 liegt rund 12 km entfernt. Die geplante Nordumfahrung von Erding wird eine noch bessere Erschließung ermöglichen.

Buslinien 501 und 561 verbinden die Ortsteile mit Erding und dem Flughafen. Vom S-Bahnhof Erding (Linie S2) gelangt man ebenfalls bequem in die Gemeinde.

Fraunberg bietet Kindergärten, Sportplätze, Einkaufsmöglichkeiten sowie ärztliche Versorgung in den umliegenden Orten. Nur 8 km entfernt bietet Erding eine umfassende Infrastruktur mit Schulen, Therme, Kreiskrankenhaus und vielfältigem Freizeitangebot.
Lade Orte in der Umgebung

Sonstiges

Alle Angaben sind freibleibend, unverbindlich, ohne Gewähr und basieren auf Informationen, die uns von unserem Auftraggeber mitgeteilt wurden. Wir übernehmen keine Gewähr für Vollständigkeit, Richtigkeit und Aktualität. Zwischenvermittlung bleibt vorbehalten.

Sollte Ihnen die von uns nachgewiesene Immobilie bereits bekannt sein, teilen Sie uns dieses bitte unverzüglich mit. Die Weitergabe dieses Exposés an Dritte ohne unsere Zustimmung löst gegebenenfalls Schadensersatzansprüche aus.

Wir weisen Sie darauf hin, dass unsere Tätigkeit im Erfolgsfall eine Vermittlungs- und/oder Nachweisprovision nach sich zieht. Bei Verkauf beträgt die Provision 3,57% inkl. 19% MwSt. des notariell beurkundeten Kaufpreises.
Es gelten unsere Allgemeinen Geschäftsbedingungen.

Wir stehen Ihnen gerne mit weiteren Informationen zur Immobilie sowie für Besichtigungen zur Verfügung.

Anbieterdaten

Nadine Vonmetz

Ansprech­partner

Nadine Vonmetz

Ihre Nachricht an RE/MAX Living / MDV Consult GmbH

Ihr Ansprechpartner: Nadine Vonmetz

Mit (*) gekennzeichnete Felder sind Pflichtangaben.