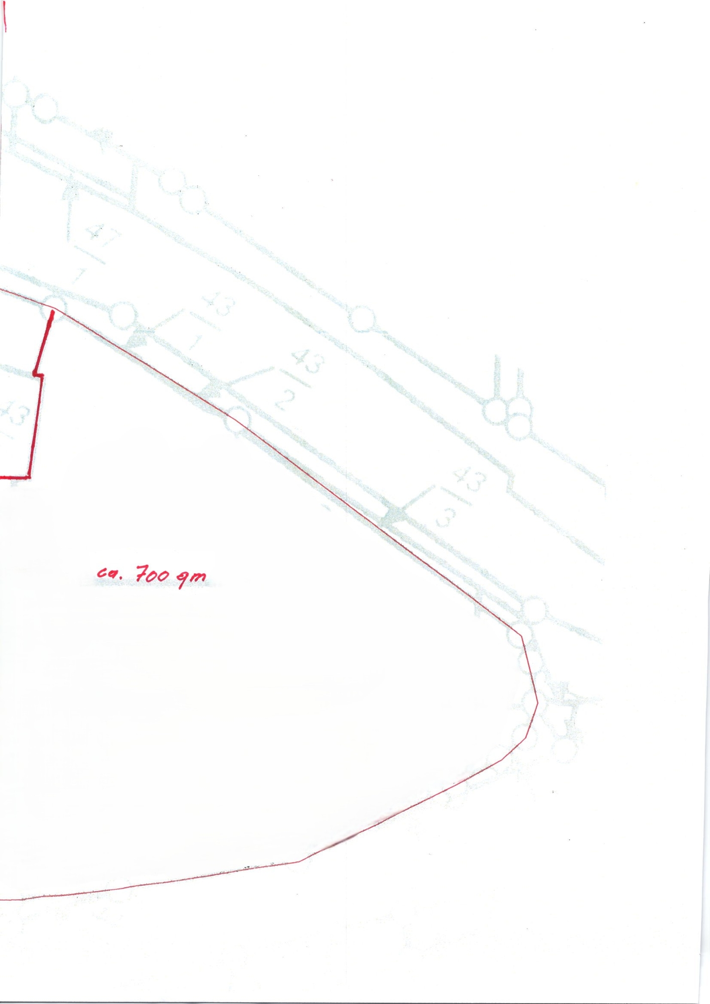
Hemmersdorf: Toller, ca. 700 m² großer Bauplatz, nach Süden ausgerichtet und mit Blick auf die Nied

Eckdaten

 Zimmer
 Wohnfl.
 Grundst.
Kaufpreis
Zimmer
Wohnfl.
 Grundst.

Kaufpreis

Basisdaten

Objektnummer
Immopark ID
IP-308318
Objekt ID
1079-268-WS
Adresse
Ort
66780 Rehlingen-Hemmersdorf
Fakten und Zahlen
Grundstückstyp
Wohnen
Vermarktungsart
Kauf
Nutzungsart
wohnen
Verkaufsstatus
offen
Kerndaten
Grundstücksfläche
700 m2

Preisdaten

Preis
Kaufpreis
80.000 €
Zus. Preis Info
80.000
Courtage
Käufercourtage
3.570,00 €

Merkmale

Es wurden keine Daten angegeben.

Umgebung

Es wurden keine Daten angegeben.

Objektbeschreibung

Wir freuen uns, Ihnen hier ein sehr attraktives Grundstück in Hemmersdorf anbieten zu können! Das Grundstück ist relativ eben, verläuft leicht konisch und hat eine Länge von ca. 30 Metern und eine mittlere Breite von etwa 25 Metern. Sie können einen attraktiven Neubau als Ein-oder Mehrfamilienhaus in vielen Gestaltungsformen errichten. Optional, (auf Wunsch, aber keine Bedingung), könnte ein bereits genehmigter Bauplan für ein Mehrfamilienhaus übernommen werden. Die Preisfindung hierfür würde nach Absprache erfolgen.

Das Grundstück bietet eine offene Südlage mit Blick auf die Nied und, in wenigen Metern Entfernung, ruhige Spazierwege entlang des Flüsschens. Hochwasser-Gefährdung besteht nicht.

Hier könnte das perfektes Zuhause für Sie und Ihre Familie, auch für mehrere Generationen, entstehen! - Oder vielleicht doch ein Vermietobjekt?

Lage

Das Grundstück befindet sich in einer verkehrsberuhigten Zone, in nördlicher, gut angebundener Lage von Hemmersdorf. Die direkte Umgebung ist naturnah und bietet Grünflächen sowie schöne Spazierwege entlang der Nied.
Lade Orte in der Umgebung

Sonstiges

Bei Interesse senden Sie uns bitte eine Anfrage per Mail mit Ihren vollständigen Kontaktdaten inkl. Telefonnummer. Nur dann kann Ihre Anfrage von uns bearbeitet werden!

Hinweise:
Bitte beachten Sie, dass dieses Angebot anhand der uns vom Eigentümer zur Verfügung gestellten Daten und Unterlagen erstellt wurde. Trotz aller Sorgfalt können wir für die Richtigkeit und Vollständigkeit der Angaben keine Gewähr übernehmen. Ebenso dienen Pläne einer ersten Übersicht und können von der Realität abweichen.

Ich stehe Ihnen selbstverständlich gerne mit weiteren Informationen zum Objekt sowie für Besichtigungen zur Verfügung. Bei Interesse senden Sie uns bitte eine Anfrage mit Ihren vollständigen Kontaktdaten.

Provision:
Die Maklerprovision in Höhe von 3.570,00 € inkl. MwSt. ist mit Abschluss des Vertrages verdient und fällig. RE/MAX erhält einen unmittelbaren Zahlungsanspruch gegenüber dem Käufer zugunsten Dritter, § 328 BGB).

Traumberuf Immobilienmakler? Infos unter www.remax.de

Verbraucherinformationen:
Online-Streitbeilegung gemäß Art. 14 Abs. 1 ODR-VO: Die Europäische Kommission stellt eine Plattform zur Online-Streitbeilegung (OS) bereit, die Sie hier finden: ec.europa.eu/consumers/odr

Anbieterdaten

Willi Seiwert

Ansprech­partner

Willi Seiwert

Ihre Nachricht an RE/MAX Immo Stars Klaus Hoffmann GmbH

Ihr Ansprechpartner: Willi Seiwert

Mit (*) gekennzeichnete Felder sind Pflichtangaben.